OSCTAMPASC Hurricane Live Tracking: Your Real-Time Guide

D.Tomfoolerylondon 29 views
OSCTAMPASC Hurricane Live Tracking: Your Real-Time Guide

OSCTAMPASC Hurricane Live Tracking: Your Real-Time Guide

Hey everyone! Are you ready to dive into the world of OSCTAMPASC hurricane live tracking ? Hurricanes are serious business, and staying informed is key. In this article, we’ll break down everything you need to know about tracking these powerful storms in real-time. We’ll explore where you can find the most reliable data, what the different tracking tools mean, and how to stay safe during hurricane season. So, buckle up, grab a coffee (or a beverage of your choice), and let’s get started.

We all know that hurricanes can wreak havoc, causing devastating damage and impacting countless lives. That’s why having access to accurate, up-to-the-minute information is absolutely crucial. OSCTAMPASC hurricane live tracking provides precisely that – a window into the storm’s current location, projected path, intensity, and potential impacts. This information is a lifesaver, helping you make informed decisions, prepare your home, and protect yourself and your loved ones. The advancements in technology have made live tracking more accessible and user-friendly than ever before. From sophisticated satellite imagery to detailed forecast models, the tools available provide a comprehensive understanding of these complex weather systems. When a hurricane forms or intensifies, the OSCTAMPASC hurricane live tracking systems go into overdrive, constantly updating the public with new data. The importance of this cannot be overstated. By understanding where the storm is, where it’s headed, and how strong it is, you can take the necessary precautions. This might involve evacuating your home, reinforcing your property, or simply stocking up on essential supplies.

The information available through live tracking platforms is typically sourced from a variety of reliable sources, including the National Hurricane Center (NHC), the World Meteorological Organization (WMO), and other reputable meteorological agencies. These organizations use advanced technologies to collect data from satellites, aircraft, weather stations, and ocean buoys. This data is then processed and analyzed by meteorologists, who create detailed forecasts and track the storm’s progress. These forecasts are not just guesses; they are the result of complex computer models that simulate the behavior of the storm. These models consider factors such as atmospheric pressure, wind speed, ocean temperature, and other environmental conditions. The result is a highly detailed picture of the storm’s projected path, intensity, and potential impacts. Knowing the projected path, potential impacts, and strength of the hurricane allows you to anticipate what steps you need to take. This could mean knowing when to evacuate your home, reinforcing your property, or stocking up on essential supplies. When you have access to information that is both accurate and detailed, you are better equipped to respond to the threat.

Understanding Hurricane Tracking Tools and Data

Alright, let’s get down to the nitty-gritty. When we talk about OSCTAMPASC hurricane live tracking , we’re referring to a whole ecosystem of tools and data that helps us understand and monitor hurricanes. This includes everything from real-time maps to detailed forecast models. But how do you make sense of it all? Let’s break it down, shall we?

First off, we have the hurricane tracking maps . These are the visual representations of the storm’s path, showing its current location, projected path, and potential areas of impact. These maps are updated frequently, often every few hours, to reflect the latest information from the NHC and other meteorological agencies. The maps use different colors and symbols to represent the storm’s intensity, wind speed, and other important data. Then, there are the forecast models . These are complex computer simulations that predict the storm’s future behavior. They consider various factors, such as atmospheric pressure, wind patterns, and ocean temperatures. There are several different forecast models, each with its own strengths and weaknesses. Meteorologists often use a combination of models to get a more comprehensive picture of the storm’s potential path. Wind speed is a critical piece of information. The maps will show the wind speeds at different locations, which helps you understand the potential damage the storm could cause. Higher wind speeds mean more severe damage. Lastly, there’s the cone of uncertainty . This is a visual representation of the storm’s potential path, showing the area where the center of the storm is most likely to travel. The wider the cone, the less certain the forecast. These are just the basics, though. The tools and data available in OSCTAMPASC hurricane live tracking are constantly evolving, providing a more detailed and accurate picture of these storms.

When you’re using these tools, you’ll encounter a bunch of different terms and symbols. The hurricane’s intensity is often categorized using the Saffir-Simpson Hurricane Wind Scale. This scale ranges from Category 1 (the weakest) to Category 5 (the strongest), based on the storm’s sustained wind speeds. There’s also the cone of uncertainty , which shows the probable track of the storm’s center. The cone’s width increases over time, reflecting the increasing uncertainty in the forecast. Then, there are the watches and warnings . A hurricane watch means that hurricane conditions are possible within the specified area, usually within 48 hours. A hurricane warning means that hurricane conditions are expected within the specified area, usually within 36 hours. Understanding these terms will help you interpret the information provided by the OSCTAMPASC hurricane live tracking tools and make informed decisions. Make sure you know what all these terms mean so you can interpret the information and make the right decisions at the right time. Being prepared and understanding the data can greatly reduce the risk of harm or damage caused by hurricanes.

Where to Find Reliable Hurricane Tracking Information

Okay, so where do you actually find all this OSCTAMPASC hurricane live tracking goodness? The good news is, there are plenty of reliable sources out there. The key is to stick to official and reputable sources to ensure you’re getting accurate information. Let’s look at some of the best places to get your hurricane updates.

The National Hurricane Center (NHC) is the gold standard for hurricane information in the United States. This is where you’ll find the most up-to-date and accurate forecasts, track maps, and warnings. The NHC website is your go-to source for detailed information about any active storms in the Atlantic and Pacific basins. They provide detailed maps, including the storm’s current position, the forecast track, and the areas under a watch or warning. The NHC’s forecasts are developed by expert meteorologists and are based on a variety of data sources, including satellite imagery, aircraft reconnaissance, and computer models. You can also find the NHC on social media platforms, such as Twitter and Facebook, where they provide real-time updates and important safety information. Make sure you make the NHC website your first stop.

Local news stations and weather channels are also excellent sources of hurricane information. These stations often have dedicated weather teams that provide in-depth coverage of hurricanes, including live reports, expert analysis, and local impact assessments. During a hurricane, local news stations typically broadcast around the clock, providing up-to-the-minute updates on the storm’s progress, potential impacts, and safety measures. They often work closely with the NHC and other agencies to ensure the accuracy of their information. Your local news station knows your area best and can provide very specific and tailored information. Local news can also provide details about evacuation routes, shelters, and other important resources.

Weather apps and websites can be helpful, but be sure to choose reliable sources. Many weather apps and websites provide real-time tracking maps, forecast models, and other useful data. Make sure the weather app is reputable and uses data from official sources like the NHC. Some apps also provide push notifications to alert you of any changes in the forecast. It is important to know the sources. Some apps get their data from a variety of sources, so always double-check the information to make sure it comes from a reliable source. These apps can be convenient for checking the latest updates, but always cross-reference them with official sources to ensure accuracy. If you are going to use an app, pick one that uses data from official sources. This includes the National Weather Service (NWS) or a well-known weather provider.

Staying Safe During Hurricane Season: Actionable Tips

Okay, now that we’ve covered where to find the info, let’s talk about staying safe during hurricane season. Knowing the facts from the OSCTAMPASC hurricane live tracking is only half the battle; the other half is knowing how to act on that information. Here are some actionable tips to keep you safe and sound:

Develop a hurricane preparedness plan. This should include everything from emergency contacts to evacuation routes. Make sure your family knows the plan and where to go in case of an evacuation order. Having a plan ahead of time will help you stay calm and make rational decisions during a stressful situation. Identify your evacuation zone and know the evacuation routes. Make sure you know the location of the nearest shelters, in case you need them. The time to develop a hurricane preparedness plan is before a storm approaches. Go over the plan with your family and make sure everyone knows their role. Have a copy of the plan in a safe place, such as a waterproof bag, and share it with your neighbors and friends. Being prepared can save lives.

Prepare an emergency kit. This kit should include essential supplies such as food, water, medications, a first-aid kit, a flashlight, batteries, and a weather radio. Having these supplies on hand can help you manage during a power outage or other emergency situation. Make sure you have enough supplies to last for several days, since it could take that long for emergency services to reach you after a storm. Include non-perishable food items, like canned goods and energy bars. Remember to include any necessary medications, as well as a first-aid kit. Pack a portable charger for your phone, and make sure to have cash, as ATMs may not be working. It’s smart to have a weather radio or a NOAA Weather Radio to stay informed during any emergency.

Monitor the weather forecast and heed warnings. Pay close attention to the OSCTAMPASC hurricane live tracking information and follow the instructions of local authorities. If you are under a hurricane watch or warning, stay informed and prepared. Being aware of the risks is the first step in staying safe. This is where the OSCTAMPASC hurricane live tracking tools and reliable sources we discussed earlier come in. If a hurricane watch or warning is issued for your area, take it seriously. Stay informed about the storm’s progress and potential impacts. Listen to the instructions from local authorities, such as evacuation orders. Be ready to take action.

Secure your home. Trim trees and shrubs, secure loose objects, and reinforce your windows and doors. Boarding up windows and doors can reduce the risk of damage from high winds. Take steps to protect your property by securing anything that could become a projectile during a hurricane. Remove or secure any loose items on your property, such as patio furniture, garbage cans, and decorations. Consider boarding up your windows or installing storm shutters to protect against high winds and flying debris. Taking these steps can significantly reduce the risk of damage to your home and protect your family.

The Role of Technology in Modern Hurricane Tracking

Technology has completely revolutionized how we track and understand hurricanes. OSCTAMPASC hurricane live tracking is a prime example of this evolution. From satellite imagery to advanced computer models, the tools available today provide a comprehensive view of these powerful storms.

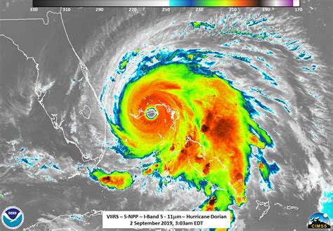
Satellite imagery provides a bird’s-eye view of the hurricane, allowing us to see its size, intensity, and movement. Satellites can also measure sea surface temperatures, which provide clues about the storm’s potential to strengthen. Satellite data is crucial for tracking hurricanes, especially over the oceans, where there are few other sources of information. This enables continuous monitoring of the storm, 24 7 . These images help meteorologists identify the storm’s center, the eye, and the surrounding cloud patterns. This data is essential for determining the storm’s intensity and predicting its future path. Satellites can also measure the wind speed and rainfall associated with the storm. In a nutshell, they give us a 360-degree view of the hurricane from space.

Advanced computer models are used to predict the storm’s future behavior. These models incorporate data from a variety of sources, including satellites, aircraft, and weather stations, to simulate the complex dynamics of a hurricane. They take a multitude of variables into account. These variables include atmospheric pressure, wind patterns, ocean temperature, and other environmental conditions. The models then generate detailed forecasts of the storm’s path, intensity, and potential impacts. There are different models, each with its own strengths and weaknesses. Meteorologists use a combination of models to get a comprehensive picture of the storm. These models are constantly being improved and refined, providing more accurate and reliable forecasts.

Data visualization tools help meteorologists and the public understand the complex data generated by these models. These tools include interactive maps, charts, and graphs that show the storm’s current location, projected path, wind speeds, and other important information. Data visualization tools take the raw data and convert it into a format that is easy to understand. They provide a clear and concise picture of the storm’s behavior, allowing users to quickly grasp the information. These tools are often interactive, allowing users to zoom in, pan, and filter the data to get a more detailed view. The result is a more informed public who are better equipped to prepare for and respond to the hurricane.

Conclusion: Staying Informed and Prepared

So, there you have it, folks! We’ve covered the ins and outs of OSCTAMPASC hurricane live tracking , from the tools and data used to track these storms to how to stay safe during hurricane season. Remember, staying informed and prepared is the best defense against these powerful weather events. By using the resources we’ve discussed and taking the necessary precautions, you can protect yourself, your loved ones, and your property. Now you can use the OSCTAMPASC hurricane live tracking tools more effectively. Remember, knowledge is power! Stay safe out there!